سرگرمی
چگونه تریاک در دستگاه ایکسری شناسایی میشود؟ – مگ دید

تعداد بازدید : 71
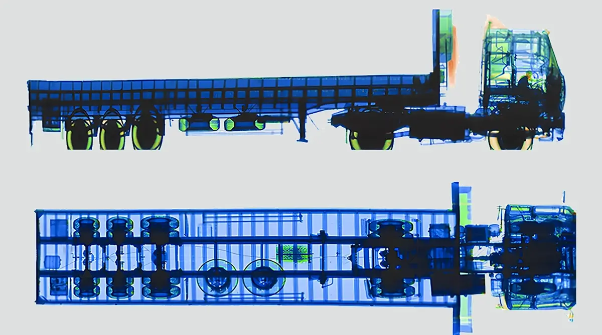
عملکرد دستگاه ایکس ری خودروهای سنگین که برای کشف محمولههای قاچاق استفاده میشود را میبینید.



